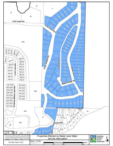
Mabel Lake Water - Possible Interruption to Water Service (Dolly Varden and Walker Road Area)

Type
Water Notice

Customers of the Mabel Lake Water Utility (MLW) in the Dolly Varden and Walker Road area are advised that planned leak detection work on Wednesday, March 23, 2022 between 9:00 am - 5:00 pm may impact water supply and quality. A map of the affected area is below.

The valve replacement project completed last year improved the resilience of the system and lowers the probability that you will experience cloudiness, air in the water, or temporary loss of water; however, this project may result in temporary impacts to the water supply and quality at the property, so you may wish to store a short term water supply before the planned work begins.

If you experience a water interruption, please run a cold water tap at low volume until the water has cleared once service has been restored. 

Click here for a larger version of the map

Image

Where can I find future water updates?

Updates will be posted to www.rdno.ca/news (filter by Water Notices) and through the RDNO email alert service. You can subscribe to receive email alerts for Mabel Lake Water at www.rdno.ca/subscribe.

 

If you have any questions, please contact the RDNO Utilities Department at 250-550-3700.