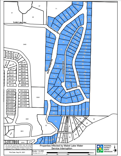
The Mabel Lake Water Utility (MLW) is informing customers that the water supply will be turned off to the Dolly Varden and Walker Road area from Monday, September 20 to Friday, September 24, 2021, and Monday, September 27 to Friday, October 1, 2021, for planned construction work. A map of the affected area is below.
The water supply on these days may be unavailable at your property between the hours of 9:00 am - 5:00 pm, but this time could be extended if unforeseen circumstances arise. It is suggested that you store a short-term water supply for use while the water is off.
When the water service has been restored, please run a cold water tap, preferably an outside tap, at low volume until the water has cleared. You may experience some cloudiness and/or air in the water.
Through this project, the MLW will replace isolation valves in the Dolly Varden Road and Walker Road areas. The valves that are being replaced are either not working or don’t meet current standards, and several of them are severely corroded.

Photo of corroded valves that were replaced in this area previously.
Replacing these valves will make the system more reliable for the community. The way it is currently set up requires the MLW to turn off the water for all customers in the Dolly Varden Road and Walker Road area to fix issues like a water main break. Once we complete this project, if a water main breaks, we will have the ability to only turn the water off for the immediate local area to complete the repair work.
Full funding for this project is being provided by the Regional District of North Okanagan (RDNO) Electoral Area “F” Community Works Fund.
Click to see a larger version of the map.
