Updated - November 24, 2025 - 9:00 a.m.
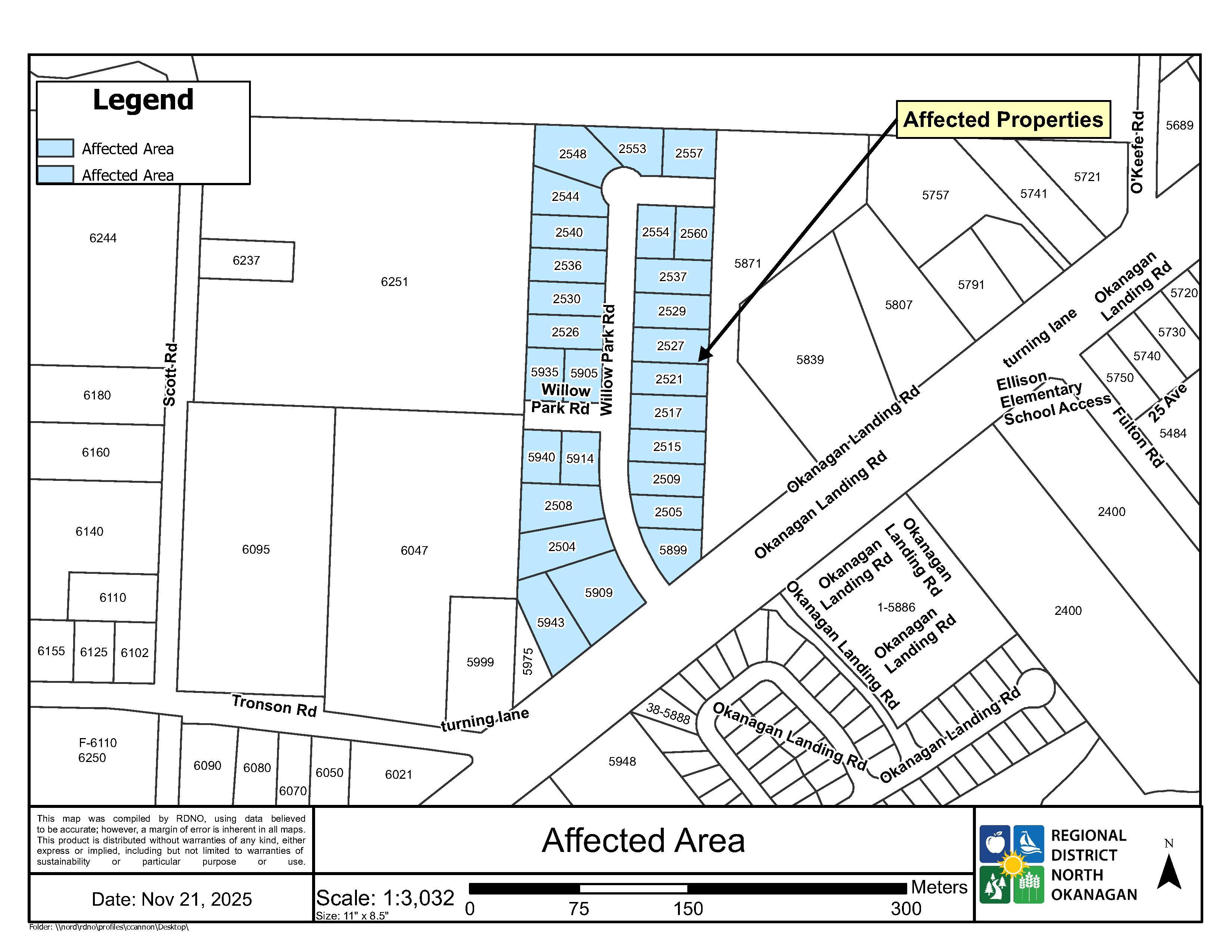
In conjunction with Interior Health, the Regional District of North Okanagan (RDNO) advises customers that the Water Quality Advisory issued on November 21, 2025, for 2504 – 5940 Willow Park Road and 5899 – 5909 Okanagan Landing Road (see map) has been RESCINDED.
Bacterial testing results have come back clear, and disinfection levels are within normal drinking water standards in the distribution system.
If you have any questions, please contact the RDNO Utilities Department at 250-550-3700.
Do you know of a water main break or other water emergency?
Go to www.rdno.ca/emergencies for contact information, including information on what to do in the event of a water main break.
Update - November 21, 2025 - 11:30am
In conjunction with Interior Health, the Regional District of North Okanagan (RDNO) advises some customers supplied by Greater Vernon Water that they are on a precautionary Water Quality Advisory (WQA). The affected area includes 2504 - 5940 Willow Park Road, 5899 and 5909 Okanagan Landing Road (see map).
A water main break in this area has resulted in a loss of water pressure in the area. The break is being repaired, and flushing will be completed. The RDNO is issuing a WQA to the affected area while sampling and testing of the water main occurs to ensure the continued safety of the water system.
What should affected customers do?
When the water service resumes, properties in the area may experience reduced water pressure, discolouration of the water, and/or air in their water. Please run a cold water tap until the water has cleared. An outside tap is preferred.
The level of treatment provided by the RDNO has been maintained; however, some customers may wish to boil their water for at least one minute when preparing food, drinking, washing fruits and vegetables, making beverages or ice or brushing their teeth.
Updates will be posted to www.rdno.ca/news (filter by Water Notices).
If you have any questions, please contact the RDNO Utilities Department at 250-550-3700.
Do you know of a water main break or other water emergency?
Go to www.rdno.ca/emergencies for contact information, including information on what to do in the event of a water main break.
Click here for a larger version of the map

Original notice - 9:00am
There is a water main break at 5940 Willow Park Rd. The water is shut off and crews are working on the repair. Approximately 25 properties are affected.
We apologize for the inconvenience and appreciate your patience.