UPDATED: Mabel Lake Water Utility - Interruption to Water Service and Water Quality Advisory on Lusk Lake Road

Type
Water Notice

Updated - November 7, 2025 12:40 p.m.

The Regional District of North Okanagan (RDNO) advises customers supplied by the Mabel Lake Water Utility (MLW) that the planned construction work on November 06, 2025 did not result in a water outage. The construction work is complete, and the water system remained in normal operations during the planned workA Water Quality Advisory will not be in effect.

If you have any questions, please contact the RDNO Utilities Department at 250-550-3700. 

Do you know of a water main break or other water emergency?

Go to www.rdno.ca/emergencies for contact information, including information on what to do in the event of a water main break.


Original Notice - November 4, 2025

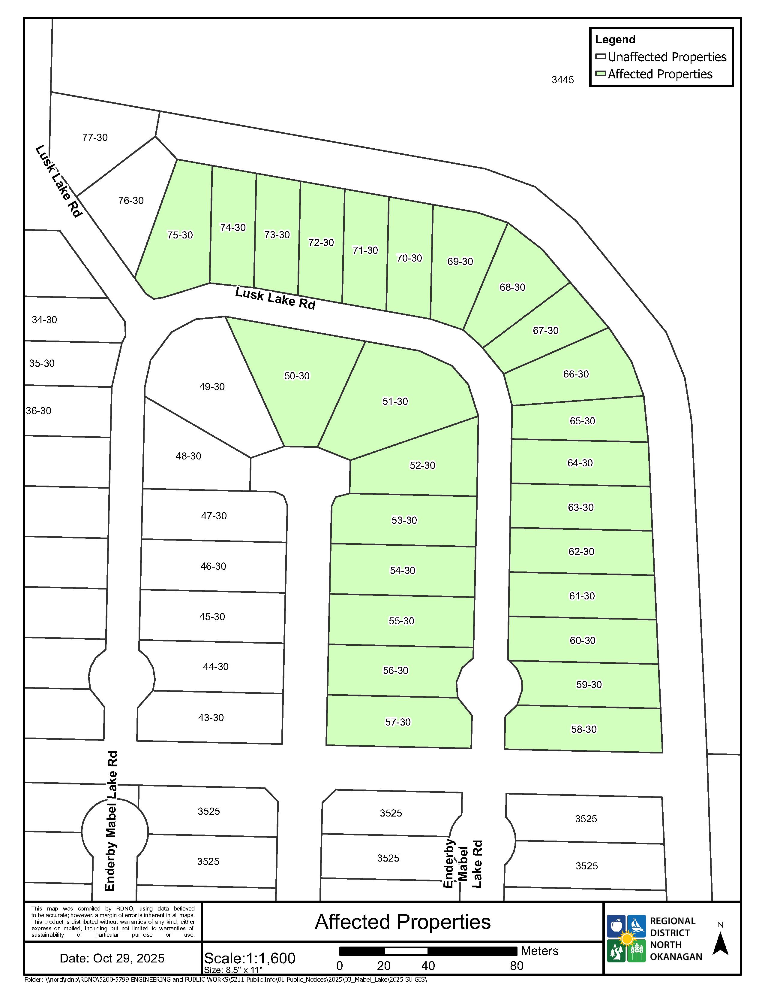
The Regional District of North Okanagan (RDNO), in conjunction with Interior Health, advises customers supplied by the Mabel Lake Water Utility (MLW) that on November 06, 2025, there might be a water outage while planned construction work to replace a water standpipe is completed. Some customers at 30 Lusk Lake Rd will be placed on a Water Quality Advisory (WQA) as a result of the work (see map of affected area). 

The WQA will be in effect until sampling results confirm that the drinking water is safe. While water service to customers is being restored, you may experience some turbidity, which is normal. Please run a cold water tap until the water runs clear. An outdoor tap is preferred.

Why is this notice in place?

Planned construction work is scheduled for November 06, 2025, which could cause water loss to customers between 8:00 am and 4:00 pm and could be extended if unforeseen circumstances arise. It is suggested that you store a short-term water supply for cooking and toilet use before the interruption.

What should affected customers do? 

When water service resumes, properties in the area may experience reduced water pressure, discolouration of the water, and/or air in the water. Please run cold water until the water has cleared. An outside tap(s) is preferred. Protect outside taps from freezing if used.

Some customers may wish to boil their water for at least one minute when preparing food, drinking, washing fruits and vegetables, making beverages or ice or brushing their teeth. The RDNO will notify customers when the WQA is rescinded.

Where can I find updates?

Updates will be posted to www.rdno.ca/news (filter by Water Notices) and the RDNO’s Facebook page at www.facebook.com/RDNOkanagan. You can also subscribe to receive email updates at www.rdno.ca/subscribe

If you have any questions, please contact the RDNO Utilities Department at 250-550-3700. 

Do you know of a water main break or other water emergency?

Go to www.rdno.ca/emergencies for contact information, including information on what to do in the event of a water main break.

Click here for a larger version of the map

Image